안녕하세요.남해권.고흥거금박프로호입니다.한주가 시작되었습니다.이번주는 화.목.금 토출항합니다자리 있으니 문의 바랍니다.예약문의.010.9149.8200예약하기https://parkpro.sunsang24.com/ship/schedule_fleet/ ===== 고흥 거금박프로호 =====예약문의 : 010-9149-8200오시는길 : 전남 고흥군 금산면 대신로 276 홈페이지 : http://parkpro.sunsang24.com/계좌안내 : 수협 / 0109-1498-2000 / 박양훈
♧ 남해안 타이라바 메카 ♤최남단,최단거리 포인트진입 12월13일 (토요일)박프로입니다먼바다 기상 악화로 오늘은 계획을 바꿔내만 주꾸미 출조로 다녀왔습니다.차가워진 수온 영향으로 초반 입질은 다소 조심스러웠지만,한 마리 한 마리 올릴 때마다묵직한 무게감,긴장감이 감돌던 순간순간들.포인트마다 큰 몰림은 아니었지만지루할 틈 없이 꾸준히 이어지는 입질 덕분에조사님들 모두 각자의 리듬으로 낚시를 즐기셨습니다.궂은 여건 속에서도 끝까지 집중해 주신조사님들 진심으로 고생 많으셨습니다.월요일 알주꾸미 출조, 다시 출항합니다. ------------박프로 였습니다 예약은 홈페이지에서 ~~●자리는 먼저 예약하신데로 선택할수 있습니다기상이 좋으면 쭈욱 출항합니다. (홈페이지 참조)★ 궁금하신 점이 있으시면 정총무에게 전화주세요.☆문의 010 9149 8200●동영상조황.지난조황 밴드에서 보실수있습니다실시간☆예약은홈페이지에서 가능합니다.[밴드 초대장]박프로님이 당신을 '거금박프로호' 밴드에 초대합니다.초대를 수락하고 우리 모임에 함께해요!https://band.us/n/a8a5bcSdrcEbX#붉바리외수질 #외수질 #민어외수질#농어 #우럭 #왕볼락 #쏨뱅이 #쏨뱅이#거금박프로호#고흥붉바리 #참돔타이라바 #거금도 #고흥선상낚시 #고흥바다낚시 #남해안바다낚시 #루어 #거문도 #여서도 #참돔조황#백도#고흥거금박프로피싱#녹동거금박프로피싱 #선상참돔낚시#남해생활낚시 ===== 고흥 거금박프로호 =====예약문의 : 010-9149-8200오시는길 : 전남 고흥군 금산면 대신로 276 홈페이지 : http://parkpro.sunsang24.com/계좌안내 : 수협 / 0109-1498-2000 / 박양훈
안녕하세요 내만주꾸미출조.주말에 출조. 자리있습니다황금물때#13.14.15일(토.일.월)조금전후주꾸미황금물때인거. 아시죠? 먼바다 기상이 즣지못하고주꾸미~물때~좋아. 내만주꾸미출조하니문의바랍니다 금.토.일 #내만주꾸미출조☎️예약문의010 9149.8200예약하기https://parkpro.sunsang24.com/ship/schedule_fleet/ ===== 고흥 거금박프로호 =====예약문의 : 010-9149-8200오시는길 : 전남 고흥군 금산면 대신로 276 홈페이지 : http://parkpro.sunsang24.com/===== 고흥 거금박프로호 =====예약문의 : 010-9149-8200오시는길 : 전남 고흥군 금산면 대신로 276 홈페이지 : http://parkpro.sunsang24.com/계좌안내 : 수협 / 0109-1498-2000 / 박양훈
♧ 남해안 타이라바 메카 ♤최남단,최단거리 포인트진입 12 월10일 (수요일)박프로입니다오늘은 겨울이라 믿기 어려울 만큼 포근한 바다가 우리를 맞아주었습니다.조황 패턴 역시 마릿수 경쟁보다는 굵은 씨알 중심으로 흐를 것 같아,여러 포인트를 세밀하게 탐색하며 사이즈급 참돔 위주 전략으로 진행했습니다.비록 뚜렷한 피딩타임은 없었지만 포인트마다 부분적인 입질이 쉼 없이 이어져멀리 이동할 필요도 없이 주변 안에서 충분히 손맛 보셨습니다.체고 좋은 참돔들이 하나둘 얼굴을 내밀어 주었고겨울 바다 특유의 묵직한 손맛에 조사님들 얼굴에도잔잔한 미소가 떠나지 않았습니다.오늘 함께해주신 조사님들차가운 계절 속에서도 끝까지 집중해주시고포인트마다 묵직한 손맛을 함께 나눠주셔서 진심으로 감사드립니다.모두의 열정과 배려 덕분에오늘도 바다 위에서 따뜻한 분위기 속에 즐거운 하루를 만들 수 있었습니다.안전 귀가하시고,다음 출조에서도 더 좋은 포인트, 더 굵은 녀석들로보답할 수 있도록 최선을 다하겠습니다.항상 믿고 찾아주셔서 감사합니다.언제나 박프로호는 최고의 손맛과 추억 준비해놓고 기다리겠습니다. “바다는 늘 말없이 가르칩니다. 기다림도, 타이밍도, 그리고 감사도.” ----------------박프로 였습니다 ❤️이번주 토,일,월 먼바다 기상악화로 내만 알주꾸미 출조 예약중 입니다 예약은 홈페이지에서 ~~●자리는 먼저 예약하신데로 선택할수 있습니다기상이 좋으면 쭈욱 출항합니다. (홈페이지 참조)★ 궁금하신 점이 있으시면 정총무에게 전화주세요.☆문의 010 9149 8200●동영상조황.지난조황 밴드에서 보실수있습니다실시간☆예약은홈페이지에서 가능합니다.[밴드 초대장]박프로님이 당신을 '거금박프로호' 밴드에 초대합니다.초대를 수락하고 우리 모임에 함께해요!https://band.us/n/a8a5bcSdrcEbX#붉바리외수질 #외수질 #민어외수질#농어 #우럭 #왕볼락 #쏨뱅이 #쏨뱅이#거금박프로호#고흥붉바리 #참돔타이라바 #거금도 #고흥선상낚시 #고흥바다낚시 #남해안바다낚시 #루어 #거문도 #여서도 #참돔조황#백도#고흥거금박프로피싱#녹동거금박프로피싱 #선상참돔낚시#남해생활낚시 ===== 고흥 거금박프로호 =====예약문의 : 010-9149-8200오시는길 : 전남 고흥군 금산면 대신로 276 홈페이지 : http://parkpro.sunsang24.com/계좌안내 : 수협 / 0109-1498-2000 / 박양훈
#내만주꾸미출조#12.13.14일(금.토.일)이번주.금.토.일내만주꾸미로 출조변경합니다.조금전후주꾸미황금물때인거. 아시죠?먼바다 기상이 즣지못하고주꾸미~물때~좋아. 내만주꾸미출조하니문의바랍니다금.토.일 #내만주꾸미출조☎️예약문의010 9149.8200예약하기https://parkpro.sunsang24.com/ship/schedule_fleet/===== 고흥 거금박프로호 =====예약문의 : 010-9149-8200오시는길 : 전남 고흥군 금산면 대신로 276 홈페이지 : http://parkpro.sunsang24.com/계좌안내 : 수협 / 0109-1498-2000 / 박양훈
#참돔타이라바 #타이라바전문선사#기상최고#화.수.예약중 이번주 9일(화요일 ).10일(수요일 )11일.(목요일 )모집중입니다.겨울은 기상으로 출항가능한날 많지않은데 (화.수 목)기상베스트~물때도 좋고 기상도 좋아 기대되는 날입니다가실분들 문의주세요☎️예약문의010 9149.8200예약하기https://parkpro.sunsang24.com/ship/schedule_fleet/최근조황 ===== 고흥 거금박프로호 =====예약문의 : 010-9149-8200오시는길 : 전남 고흥군 금산면 대신로 276 홈페이지 : http://parkpro.sunsang24.com/계좌안내 : 수협 / 0109-1498-2000 / 박양훈
♧ 남해안 타이라바 메카 ♤최남단,최단거리 포인트진입 12월 6일 (토요일)박프로입니다오늘은 *경기권 일원 동호회 조사님들과 정출(정기출조)*을 다녀왔습니다.새벽부터 묻어나는 설렘, 첫 캐스팅 전의 기대감,그리고 온종일 배 안에 가득했던웃음·배려·끈끈한 정…좋은 분위기 속에서 만들어진 소중한 추억들,잊지 못할 하루를 보내고 입항하였습니다.아침 첫 포인트마릿수보다 씨알좋은 넘들을 위주로탐색하였으나 탁한 물색,약간의 수온변화로인해 여의치않아 깊은수심층으로 이동하여진입과 동시에 입질이 빠르게 시작되었습니다.포인트마다 꾸준히 얼굴을 보여주며동호회 조사님들 모두 로드를 휘게 만드는 즐거운 시간들이 이어졌습니다.일부 포인트에서는 연속 히트가 터지며장비 들고 정신없이 웃고 외치는 모습이 인상적이었습니다.특히 오늘은 초반보다중반 이후 조류가 정리되며더욱 안정적인 입질이 이어졌습니다.마지막까지 집중해주시고끝까지 웃음을 잃지 않은우리 동호회 조사님들, 정말 고생 많으셨습니다.늘 안전하고 즐거운 출조 되도록 최선을 다하겠습니다.감사합니다.“바다는 늘 새로운 기회를 준다. 그 기회를 잡는 건 결국 부지런한 조사다.” ------------------박프로 였습니다 ❤️내일,모래(일,월) 기상악화로 휴항하고 화요일(9일)부터~출항합니다.예약은 홈페이지에서 ~~●자리는 먼저 예약하신데로 선택할수 있습니다기상이 좋으면 쭈욱 출항합니다. (홈페이지 참조)★ 궁금하신 점이 있으시면 정총무에게 전화주세요.☆문의 010 9149 8200●동영상조황.지난조황 밴드에서 보실수있습니다실시간☆예약은홈페이지에서 가능합니다.https://parkpro.sunsang24.com/ship/schedule_fleet/[밴드 ]https://band.us/n/aba5b4r655b8d #붉바리외수질 #외수질 #민어외수질#농어 #우럭 #왕볼락 #쏨뱅이 #쏨뱅이#거금박프로호#고흥붉바리 #참돔타이라바 #거금도 #고흥선상낚시 #고흥바다낚시 #남해안바다낚시 #루어 #거문도 #여서도 #참돔조황#백도#고흥거금박프로피싱#녹동거금박프로피싱 #선상참돔낚시#남해생활낚시 ===== 고흥 거금박프로호 =====예약문의 : 010-9149-8200오시는길 : 전남 고흥군 금산면 대신로 276 홈페이지 : http://parkpro.sunsang24.com/계좌안내 : 수협 / 0109-1498-2000 / 박양훈
스릴넘치는 타이라바~겨울시즌~기상되는날다음주 평일 모집합니다.8.9.10.11.12일~기상좋습니다.문의 010.9149.8200예약하기https://parkpro.sunsang24.com/ship/schedule_fleet/ ===== 고흥 거금박프로호 =====예약문의 : 010-9149-8200오시는길 : 전남 고흥군 금산면 대신로 276 홈페이지 : http://parkpro.sunsang24.com/계좌안내 : 수협 / 0109-1498-2000 / 박양훈
♧ 남해안 타이라바 메카 ♤최남단,최단거리 포인트진입 11월 30일 (일요일)박프로입니다 오늘은 바다에 나서는 순간부터 심상치 않았습니다. 너울성 파도속에 첫 포인트에 도착.채비를 내리자마자 바닥에서부터 툭—툭— 특유의 참돔 신호가 바로 올라왔고,잠시 후 로드가 천천히 고꾸라지며 본격적으로 하루가 열렸습니다. ☆오늘 조황 분위기포인트마다 씨알 좋은 참돔들이 일정하게 따라붙는 흐름이 아주 안정적이었습니다.입질이 예민하게 들어와도 챔질하면 바로 묵직하게 전달되고,힘 좋은 개체들은 한 박자 늦게 드랙을 끌고 가며조사님들 손끝에서 실감나는 손맛을 계속 만들어줬습니다.중반 이후에도 조류 죽는 시간 없이지루함 없이 끊김 없는 패턴으로 이어졌고,철수 준비할 때까지도 꾸준한 반응이 이어졌습니다.오늘 함께해주신 조사님들,너울통에도 집중해주시고 열심히 하셨습니다. 정말 고생 많으셨습니다.“좋은 조황은 바람과 조류가 주는 게 아니라, 움직인 만큼 찾아온다.”❤️몇일 기상여건을 보면서 출조일정을 공지 하겠습니다(홈페이지 참조)예약은 홈페이지에서 ~~●자리는 먼저 예약하신데로 선택할수 있습니다기상이 좋으면 쭈욱 출항합니다. (홈페이지 참조)★ 궁금하신 점이 있으시면 정총무에게 전화주세요.☆문의 010 9149 8200●동영상조황.지난조황 밴드에서 보실수있습니다실시간☆예약은홈페이지에서 가능합니다.https://parkpro.sunsang24.com/ship/schedule_fleet/https://band.us/n/aba3A366LdG2m '거금박프로호' 밴드에 초대합니다.생미끼외수질. 타이라바 전용낚시선 밴드입니다.band.us#붉바리외수질 #외수질 #민어외수질#농어 #우럭 #왕볼락 #쏨뱅이 #쏨뱅이#거금박프로호#고흥붉바리 #참돔타이라바 #거금도 #고흥선상낚시 #고흥바다낚시 #남해안바다낚시 #루어 #거문도 #여서도 #참돔조황#백도#고흥거금박프로피싱#녹동거금박프로피싱 #선상참돔낚시#남해생활낚시 ===== 고흥 거금박프로호 =====예약문의 : 010-9149-8200오시는길 : 전남 고흥군 금산면 대신로 276 홈페이지 : http://parkpro.sunsang24.com/계좌안내 : 수협 / 0109-1498-2000 / 박양훈
♧ 남해안 타이라바 메카 ♤최남단,최단거리 포인트진입11월29 일 ( 토요일) 박프로입니다오늘 조황 올립니다.아침 첫 포인트부터 참돔 반응이 폭발적이었습니다.들어가는 자리마다 입질이 끊이질 않고,준수한 사이즈 참돔들이 포인트마다 시원하게 로드를 휘어주는 날이었습니다.중반 이후에도 조류 변화에 맞춰 이동한 자리마다꾸준히 씨알 좋은 참돔이 따라주었고,조사님들 로드는 쉴 틈 없이 휘청이며온종일 활기 넘치는 조황을 보여주었습니다.그리고 오늘의 하이라이트—철수 직전, 마지막 탐색 포인트에서드디어 대전에서 오신 여조사님이7짜 대물 참돔이 등장!완벽한 타이밍에 강력한 힘을 보여주며오늘 출조의 마침표를 멋지게 찍어주었습니다.끝까지 집중해주신 조사님들 모두 정말 고생 많으셨습니다.내일도 최상의 포인트 선택으로 더 좋은 그림 만들어드리겠습니다.“대물은 마지막 한 포인트까지 포기하지 않는 사람에게 찾아온다.” -----------------박프로 였습니다 예약은 홈페이지에서 ~~●자리는 먼저 예약하신데로 선택할수 있습니다기상이 좋으면 쭈욱 출항합니다. (홈페이지 참조)★ 궁금하신 점이 있으시면 정총무에게 전화주세요.☆문의 010 9149 8200●동영상조황.지난조황 밴드에서 보실수있습니다실시간☆예약은홈페이지에서 가능합니다.https://parkpro.sunsang24.com/ship/schedule_fleet/https://band.us/n/aba3A366LdG2m'거금박프로호' 밴드에 초대합니다.생미끼외수질. 타이라바 전용낚시선 밴드입니다.band.us#붉바리외수질 #외수질 #민어외수질#농어 #우럭 #왕볼락 #쏨뱅이 #쏨뱅이#거금박프로호#고흥붉바리 #참돔타이라바 #거금도 #고흥선상낚시 #고흥바다낚시 #남해안바다낚시 #루어 #거문도 #여서도 #참돔조황#백도#고흥거금박프로피싱#녹동거금박프로피싱 #선상참돔낚시#남해생활낚시 ===== 고흥 거금박프로호 =====예약문의 : 010-9149-8200오시는길 : 전남 고흥군 금산면 대신로 276 홈페이지 : http://parkpro.sunsang24.com/계좌안내 : 수협 / 0109-1498-2000 / 박양훈
안녕하세요선상낚시전문선사 거금박프로호~입니다.진짜 재미있는낚시~남해권 겨울(@타이라바 시즌) 시작했습니다.11월~내년4월까지 출조합니다.경험 풍부하신 선장님의노하우와 열정으로열심히 하겠습니다.11월30 일 5자리여유12월1일 6자리 예약중12월2일 4자리 예약중많은관심부탁드립니다바람이 부쩍 차가워진 계절, 입니다일교차가 큽니다. 환절기 건강 조심하시고 아름다운 가을풍경 마음껏 즐기시고 행복한 시간들 보내십시오.거금박프로호 정총무~고흥 거금 박프로호????출조문의????010-9149-8200????예약하기https://parkpro.sunsang24.com/ship/schedule_fleet/????밴드(조황사진,영상,조행기)https://band.us/band/68228306오시는길????전남 고흥군 금산면 대신로276????티맵,카카오맵,네이버맵http://ktdmap.com/91498200 ===== 고흥 거금박프로호 =====예약문의 : 010-9149-8200오시는길 : 전남 고흥군 금산면 대신로 276 홈페이지 : http://parkpro.sunsang24.com/계좌안내 : 수협 / 0109-1498-2000 / 박양훈
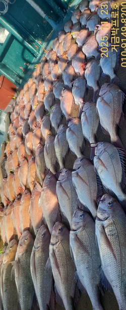
♧ 남해안 타이라바 메카 ♤최남단,최단거리 포인트진입 11월 23 일 (일요일)박프로입니다 오늘은 어제 조황의 흐름을 참고하며, 마릿수와 씨알이 자연스럽게 어우러지는 포인트 위주로 선정해서 움직였습니다.첫 포인트부터 참돔 특유의 예민한 톡–입질이 이어졌고,중간중간에는 로드를 단단히 눌러주는 힘 좋은 녀석들도 등장해5짜·6짜·7짜 대물과 중급 씨알이 고르게 섞여조사님들 손맛이 끊기지 않는 흐름을 만들어주었습니다.하루 종일 가벼운 서프라이즈와 묵직한 감동이 번갈아 올라와배 위에선 환호, 웃음, 설렘이 자연스럽게 퍼졌고조사님들의 집중력 덕분에 오늘 조황이 더욱 살아났습니다.끝까지 함께해주신 조사님들정말 수고 많으셨습니다.내일도 오늘의 좋은 흐름을 이어더 즐겁고 기억에 남을 조행 준비해보겠습니다. “좋은 조황의 비결은 운이 아니라, 끝까지 포기하지 않는 발품이다.” -----------박프로 였습니다 ❤️내일 월요일 한자리 있습니다 예약은 홈페이지에서 ~~●자리는 먼저 예약하신데로 선택할수 있습니다기상이 좋으면 쭈욱 출항합니다. (홈페이지 참조)★ 궁금하신 점이 있으시면 정총무에게 전화주세요.☆문의 010 9149 8200●동영상조황.지난조황 밴드에서 보실수있습니다실시간☆예약은홈페이지에서 가능합니다.https://parkpro.sunsang24.com/ship/schedule_fleet/https://band.us/n/aba3A366LdG2m'거금박프로호' 밴드에 초대합니다 #붉바리외수질 #외수질 #민어외수질#농어 #우럭 #왕볼락 #쏨뱅이 #쏨뱅이#거금박프로호#고흥붉바리 #참돔타이라바 #거금도 #고흥선상낚시 #고흥바다낚시 #남해안바다낚시 #루어 #거문도 #여서도 #참돔조황#백도#고흥거금박프로피싱#녹동거금박프로피싱 #선상참돔낚시#남해생활낚시 ===== 고흥 거금박프로호 =====예약문의 : 010-9149-8200오시는길 : 전남 고흥군 금산면 대신로 276 홈페이지 : http://parkpro.sunsang24.com/계좌안내 : 수협 / 0109-1498-2000 / 박양훈
♧ 남해안 타이라바 메카 ♤최남단,최단거리 포인트진입11월 22일 (토요일)박프로입니다본격적인 타이라바 시즌이 시작되었습니다.첫 포인트 진입과 동시에 “톡…톡…” 참돔 특유의 예민한 입질이 연달아 들어왔고,로드가 휘어질 때마다 조사님들 얼굴에는 기대감이 가득했습니다.여러 포인트를 순차적으로 공략하며 탐색해보는 동안, 드디어 강력한 한 방이 들어왔습니다.7짜 대물 참돔을 시작으로, 준수한 사이즈의 참돔이 이어서 올라오며선상 위는 환호와 긴장감이 끊이지 않았습니다.특히 중반 타임에는 포인트마다 짧은 텀 없이 입질이 집중되며타이라바 시즌이 온몸으로 느껴지는 하루였습니다.점심식사 후 물돌이가 더디게 진행되자 전략적으로 먼 포인트로 이동해봤지만조류가 제대로 형성되지 않아 아쉽게도 대물 추가 사냥은 다음 기회로 미루게 되었습니다.그래도 오늘 함께해주신 조사님들,집중해주시고 끝까지 열정적으로 참여해주셔서 정말 감사드립니다.시즌이 이제 막 열렸습니다.앞으로 더 좋은 조황으로 보답드리겠습니다!"입질은 우연이 아니라 끝까지 믿고 기다린사람의 보상이다. -------------박프로 였습니다 ❤️ 월요일 자리 남았습니다예약은 홈페이지에서 ~~●자리는 먼저 예약하신데로 선택할수 있습니다기상이 좋으면 쭈욱 출항합니다. (홈페이지 참조)★ 궁금하신 점이 있으시면 정총무에게 전화주세요.☆문의 010 9149 8200●동영상조황.지난조황 밴드에서 보실수있습니다실시간☆예약은홈페이지에서 가능합니다.https://parkpro.sunsang24.com/ship/schedule_fleet/https://band.us/n/aba3A366LdG2m#붉바리외수질 #외수질 #민어외수질#농어 #우럭 #왕볼락 #쏨뱅이 #쏨뱅이#거금박프로호#고흥붉바리 #참돔타이라바 #거금도 #고흥선상낚시 #고흥바다낚시 #남해안바다낚시 #루어 #거문도 #여서도 #참돔조황#백도#고흥거금박프로피싱#녹동거금박프로피싱 #선상참돔낚시 #남해생활낚시 ===== 고흥 거금박프로호 =====예약문의 : 010-9149-8200오시는길 : 전남 고흥군 금산면 대신로 276 홈페이지 : http://parkpro.sunsang24.com/계좌안내 : 수협 / 0109-1498-2000 / 박양훈
어제출조하신울프헤라님의 생생한 조행기입니다거금 박프로호 조행기네이버 블로그https://blog.naver.com/woon0130/224081921299인스타그램 릴스https://www.instagram.com/reel/DRQj_MxAXUS/?igsh=aGVyNTZ3eDM3Nm5x네이버 클립https://naver.me/I5ynkAg0유튜브 쇼츠https://youtube.com/shorts/i-5C0TZlaoI?si=M9c8evFMtf2kaxhH===== 고흥 거금박프로호 =====예약문의 : 010-9149-8200오시는길 : 전남 고흥군 금산면 대신로 276 홈페이지 : http://parkpro.sunsang24.com/계좌안내 : 수협 / 0109-1498-2000 / 박양훈
♧ 남해안 타이라바 메카 ♤최남단,최단거리 포인트진입11월19 일 (수요일) 박프로입니다연일 이어진 기상 악화로 바다에 나가지 못하니, 마음 한편이 허전하고 몸도 들썩들썩했습니다.그래서 오늘은 조사님 다섯 분과 함께 “바다가 집이다” 하는 마음으로 무작정 집 찾아 떠나듯 출항했습니다.바다는 우리를 반겨주듯 포인트마다 반응을 보여줬습니다.첫 포인트에서 시작된 붉바리 입질은 마치 기다렸다는 듯 속도감 있게 이어졌고,여러 분의 로드가 번갈아 휘어지는 모습에 쌓였던 답답함이 한 번에 날아갔습니다.중간중간 잔잔한 여유도 즐기며 힐링하고,힘 좋은 붉바리들이 선사하는 묵직한 손맛은 오늘의 피로를 모두 잊게 만들었습니다.횟감 또한 넉넉하게 챙기며, 다시 한번 바다가 주는 선물에 감사한 하루였습니다.오늘 궂은 여건에도 함께해주신 다섯분 조사님,끝까지 집중해주시고 밝은 웃음 나눠주셔서 진심으로 감사합니다.내일도, 다음 출조도—이 기세 모아 더 좋은 포인트, 더 강한 손맛으로 보답드리겠습니다.“역시 박프로 라인업은 다르다” 앞으로도 박프로는 더 넓은 포인트, 더 굵은 씨알, 더 확실한조황으로조사님들께 최고의 출조 경험을 약속드립니다.바다는 준비되어 있습니다.여러분의 다음 출조를 기다리겠습니다.“바다는 준비된 사람에게만 문을 연다.” --------------박프로 였습니다 ♡대물붉바리.대물민어.대물점농어. 돼지우럭,왕볼락 찾아 GO~GO.!!!~~남녀노소 누구나즐기는 붉바리낚시예약은 홈페이지에서 ~~●자리는 먼저 예약하신데로 선택할수 있습니다기상이 좋으면 쭈욱 출항합니다. (홈페이지 참조)★ 궁금하신 점이 있으시면 정총무에게 전화주세요.☆문의 010 9149 8200●동영상조황.지난조황 밴드에서 보실수있습니다실시간☆예약은홈페이지에서 가능합니다.https://parkpro.sunsang24.com/ship/schedule_fleet/https://band.us/n/aba3A366LdG2m 붉바리외수질 #외수질 #민어외수질#농어 #우럭 #왕볼락 #쏨뱅이 #쏨뱅이#거금박프로호#고흥붉바리 #참돔타이라바 #거금도 #고흥선상낚시 #고흥바다낚시 #남해안바다낚시 #루어 #거문도 #여서도 #참돔조황#백도#고흥거금박프로피싱#녹동거금박프로피싱 #선상참돔낚시#남해생활낚시 ===== 고흥 거금박프로호 =====예약문의 : 010-9149-8200오시는길 : 전남 고흥군 금산면 대신로 276 홈페이지 : http://parkpro.sunsang24.com/계좌안내 : 수협 / 0109-1498-2000 / 박양훈
안녕하세요.ㄴㅐ일 중만권 타이라바 출조 자리있습니다.ㅇㅖ약문의.010.9149.8200최근조황입니다===== 고흥 거금박프로호 =====예약문의 : 010-9149-8200오시는길 : 전남 고흥군 금산면 대신로 276 홈페이지 : http://parkpro.sunsang24.com/계좌안내 : 수협 / 0109-1498-2000 / 박양훈
남해안 타이라바 메카 ♤최남단,최단거리 포인트진입11월 16일 (일요일)박프로입니다오늘 조황 올려드립니다.어마어마하게 나왔습니다 진열공간이 없을정도로 쏟아졌습니다.아침 초반부터 포인트마다 힘이살아있어 분위기가 달랐습니다.메타 농어.사이즈급 돌돔~쉴세없이 올라온 붉바리.참돔~바닥 찍고 두세 번 감아 올리면 툭- 하고 들어오는 특유의 참돔,붉바리 입질이 계속 이어졌고,빠르게 옮겨 다니며 활발한 어군을 찾아다니는 재미가 확실했습니다.전체적으로 30 이상 준수한 사이즈가 주류를 이뤘고,중간중간 힘 좋은 개체들이 로드를 크게 꺾어주며조사님들 손끝에 긴장과 만족을 동시에 안겨드렸습니다.오후 들어 조류가 조금 죽는 구간에서도포인트 교체마다 꾸준한 반응이 이어져“오늘은 진짜 쉬어갈 틈이 없네”라는 말이 나올 정도로전반적으로 잘 나와준 하루였습니다.집중해주신 조사님들 덕분에 모든 포인트에서알찬 손맛과 풍성한 조과를 챙길 수 있었습니다.늘 찾아주시는 마음 잊지 않겠습니다.오늘 함께하신 조사님들 고생 많으셨고,다음 출항때에도 이 기세 모아서 대물 사냥 이어가겠습니다 . "물때는 기다리지만 기회는 기다리지 않는다. -----------박프로 였습니다 예약은 홈페이지에서 ~~●자리는 먼저 예약하신데로 선택할수 있습니다기상이 좋으면 쭈욱 출항합니다. (홈페이지 참조)★ 궁금하신 점이 있으시면 정총무에게 전화주세요.☆문의 010 9149 8200●동영상조황.지난조황 밴드에서 보실수있습니다실시간☆예약은홈페이지에서 가능합니다.https://parkpro.sunsang24.com/ship/schedule_fleet/https://band.us/n/aba3A366LdG2m #붉바리외수질 #외수질 #민어외수질#농어 #우럭 #왕볼락 #쏨뱅이 #쏨뱅이#거금박프로호#고흥붉바리 #참돔타이라바 #거금도 #고흥선상낚시 #고흥바다낚시 #남해안바다낚시 #루어 #거문도 #여서도 #참돔조황#백도#고흥거금박프로피싱#녹동거금박프로피싱 #선상참돔낚시#남해생활낚시 ===== 고흥 거금박프로호 =====예약문의 : 010-9149-8200오시는길 : 전남 고흥군 금산면 대신로 276 홈페이지 : http://parkpro.sunsang24.com/계좌안내 : 수협 / 0109-1498-2000 / 박양훈
♧ 남해안 타이라바 메카 ♤최남단,최단거리 포인트진입11월 15일 (토요일)오늘은 조류가 약해 내만 위주 공략, 출조의 컨셉은 단 하나, “인생고기 붉바리 사냥!”그리고… 바다는 제대로 응답했습니다.말 그대로 대물 붉바리들의 ‘분열식(分列式)’ 같은 하루!.56.55.52.50.그리고 4짜 중후반.3짜후반대물파티 조황입니다. 첫 포인트 진입 후 10분도 안 돼 배 위 분위기가 급변—오늘은 ‘수량’보다 ‘질’로 승부 보는 날이었습니다. 55cm – 조황 시동 거는 첫 괴물낚싯대가 갑자기 미친 듯이 처박고,드랙은 울음소리처럼 길게 찢어지고,조사님 얼굴은 순식간에 긴장 모드.수면에 떠오른 순간,온몸이 불덩이처럼 붉은 55cm 대장급.첫 한 마리에서 이미 오늘의 흐름이 정해졌습니다. 56cm – 오늘 최대어, 기어이 넘어왔다두 번째 입질은 이상하게 조용했음.‘혹시 잔챙이인가?’ 싶었던 그때바닥에서 세게 휘두르는 파워가 한 번에 터짐.라인 각도, 진동, 드랙 울림…모든 게 “큰놈이다”라고 외치는 순간.그리고 올라온 건 56cm 오늘 최대어.카메라 들이대는 손이 덜덜덜~ 떨릴 정도로 압도적 포스. 52cm – 작지 않은 중견, 액션은 오히려 더 거칠었다세 번째 포인트 진입과 동시에 톡, 하고 예민하게 들어오는 입질.걸리는 순간 옆으로 치고 달리는 스피드가 엄청나서조사님이 두 번이나 각도 조절을 다시 해야 했던 고기.크기는 52이지만,파이팅만 보면 오히려 5짜들과 나란히 세워도 손색 없는 녀석.‘실력자’란 표현이 딱 맞는 붉바리였습니다.50cm – 착한 척하다가 뒤통수치는 돌격대장네 번째는 은근히 부드럽게 들어왔음.“아, 이건 잔챙이다” 하고 올리던 순간30m에서 갑자기 낚싯대가 꺾이면서 반전!올라온 뒤 모두가 한마디.“얘는 생긴 건 순한데 성깔은 완전 돌격대장!”마지막을 깔끔하게 책임져 준 당찬 50cm.오늘 – 붉바리 넷이 한 줄로 걸어 나왔다55 → 56 → 52 → 50이렇게 대물 붉바리만 정확히 네 마리 연속 타이밍 맞춰 잡아낸 날,쉽게 만나는 패턴이 아닙니다.또한 사이즈급 붉바리들이 오늘 대다수를 차지해주었고 조사님들 고루고루 손맛과 횟감을 든든히 챙기셨습니다.조류 약한 내만에서특정 시간대만 반응하는 ‘한정된 타이밍’을 정확히 찔러 들어간 결과.오늘은 운이 아니라 실력과 집중력이 만든 조황이었습니다. 조사님들 고생 많으셨습니다약한 조류에 예민한 입질까지,쉽지 않은 상황에서도 끝까지 집중해주신 우리 조사님들 덕분에힘들었던 시간도 전부 힘으로 바뀌었습니다.진심으로 고생 많으셨습니다. 이 기세 그대로, 다음 타깃은 ‘대물 참돔’입니다 ---------------박프로 였습니다 ❤️ 다음주 수요일부터 자리 남았습니다♡대물붉바리.대물민어.대물점농어. 돼지우럭,왕볼락 찾아 GO~GO.!!!~~남녀노소 누구나즐기는 붉바리낚시예약은 홈페이지에서 ~~●자리는 먼저 예약하신데로 선택할수 있습니다기상이 좋으면 쭈욱 출항합니다. (홈페이지 참조)★ 궁금하신 점이 있으시면 정총무에게 전화주세요.☆문의 010 9149 8200●동영상조황.지난조황 밴드에서 보실수있습니다실시간☆예약은홈페이지에서 가능합니다.https://parkpro.sunsang24.com/ship/schedule_fleet/ https://band.us/n/aba3A366LdG2m#붉바리외수질 #외수질 #민어외수질 #농어 #우럭 #왕볼락 #쏨뱅이 #쏨뱅이 #거금박프로호#고흥붉바리 #참돔타이라바 #거금도 #고흥선상낚시 #고흥바다낚시 #남해안바다낚시 #루어 #거문도 #여서도 #참돔조황#백도#고흥거금박프로피싱#녹동거금박프로피싱 #선상참돔낚시 #남해생활낚시===== 고흥 거금박프로호 =====예약문의 : 010-9149-8200오시는길 : 전남 고흥군 금산면 대신로 276 홈페이지 : http://parkpro.sunsang24.com/계좌안내 : 수협 / 0109-1498-2000 / 박양훈
남해안 타이라바 메카 ♤최남단,최단거리 포인트 진입11월 9일 (일요일)박프로입니다오늘은 궂은 날씨 속에서도 조사님들과 함께 끝까지 부지런히 다녀보았습니다.기상때문에 한정된 포인트 상황이었지만, 붉바리 포인트 위주로 세밀하게 탐색하며들물 타이밍에 집중 공략을 이어갔습니다. 타이라바 장르에서도 준수한 사이즈의 붉바리들이 여실히 잘 나와주며한 마리 한 마리마다 로드 끝이 묵직하게 휘어졌습니다.예민한 입질에 손끝 긴장감이 가득했고, 수심 20~30m권에서 30~40cm급 붉바리들이 연이어 올라와 조사님들의 얼굴에 미소가 번졌습니다.오후로 들어서면서 날물이 더디게 진행되었지만,포인트를 옮겨가며 끝까지 집중하신 덕분에마지막까지 붉은 손맛을 이어갈 수 있었습니다.오늘도 궂은 날씨 속 최선을 다해주신 조사님들께 진심으로 감사드립니다.“기상은 변수지만, 열정은 실력이다 — 바다 위에서 진짜 차이는 ‘끝까지의 집중’이다.” ----------------박프로 였습니다 ❤️ 기상악화로 내일은 쉬고 화요일부터 소수인원 이라도 프리폴 타이라바 출항합니다 .예약은 홈페이지에서 ~~●자리는 먼저 예약하신데로 선택할수 있습니다기상이 좋으면 쭈욱 출항합니다. (홈페이지 참조)★ 궁금하신 점이 있으시면 정총무에게 전화주세요.☆문의 010 9149 8200●동영상조황.지난조황 밴드에서 보실수있습니다실시간☆예약은홈페이지에서 가능합니다.https://parkpro.sunsang24.com/ship/schedule_fleet/https://band.us/n/aba3A366LdG2m #붉바리외수질 #외수질 #민어외수질 #농어 #우럭 #왕볼락 #쏨뱅이 #쏨뱅이 #거금박프로호#고흥붉바리 #참돔타이라바 #거금도 #고흥선상낚시 #고흥바다낚시 #남해안바다낚시 #루어 #거문도 #여서도 #참돔조황#백도#고흥거금박프로피싱#녹동거금박프로피싱 #선상참돔낚시 #남해생활낚시===== 고흥 거금박프로호 =====예약문의 : 010-9149-8200오시는길 : 전남 고흥군 금산면 대신로 276 홈페이지 : http://parkpro.sunsang24.com/계좌안내 : 수협 / 0109-1498-2000 / 박양훈
♧ 남해안 타이라바 메카 ♤최남단,최단거리 포인트진입 11월 7일 (금요일)박프로입니다오늘 프리폴 타이라바 조황 올립니다.아침 들물 타임에는 초반부터 좋은 흐름이 이어졌습니다.포인트마다 참돔과 붉바리가 연달아 올라오며조사님들 로드가 쉴 틈 없이 휘어졌습니다.강렬한 손맛 속에 즐거운 들물 타임이었습니다.하지만 점심 이후, 오후로 넘어가면서 조황이 급변했습니다.날물 진행이 매우 더디게 이어지며 조류가 거의 멈춰버렸고,그에 따라 입질도 완전히 끊겼습니다.더디게 날물은 급속도로 진행되면서 여기저기 날물 포인트를 옮겨봤지만쏨뱅이 몇 마리 외엔 반응이 없었습니다.오늘 조황을 참고하여다음 출조에서는 오후 날물 포인트를 더욱 신중히 선택하고,조류 변화에 따른 패턴 분석을 강화하겠습니다.궂은 여건 속에서도 끝까지 집중해주신조사님들 모두 고생 많으셨습니다.함께해주신 열정에 진심으로 감사드립니다.“바다는 늘 도전하는 자에게만 그날의 보답을 건넵니다.” ---------------박프로 였습니다 ♡대물붉바리.대물민어.대물점농어. 돼지우럭,왕볼락 찾아 GO~GO.!!!~~남녀노소 누구나즐기는 붉바리낚시예약은 홈페이지에서 ~~●자리는 먼저 예약하신데로 선택할수 있습니다기상이 좋으면 쭈욱 출항합니다. (홈페이지 참조)★ 궁금하신 점이 있으시면 정총무에게 전화주세요.☆문의 010 9149 8200●동영상조황.지난조황 밴드에서 보실수있습니다실시간☆예약은홈페이지에서 가능합니다.https://parkpro.sunsang24.com/ship/schedule_fleet/https://band.us/n/aba3A366LdG2m #붉바리외수질 #외수질 #민어외수질 #농어 #우럭 #왕볼락 #쏨뱅이 #쏨뱅이 #거금박프로호#고흥붉바리 ===== 고흥 거금박프로호 =====예약문의 : 010-9149-8200오시는길 : 전남 고흥군 금산면 대신로 276 홈페이지 : http://parkpro.sunsang24.com/계좌안내 : 수협 / 0109-1498-2000 / 박양훈
♧ 남해안 타이라바 메카 ♤최남단,최단거리 포인트 진입11월 3일 (월요일) 거금 박프로입니다 10분 조사님들과 함께 프리폴 타이라바 첫 출조조황입니다.프리폴 타이라바 특유의 떨어지는 한 타이밍에 ‘탁’ 하고 박히는 그 전율,누구나 한 번 빠지면 헤어나오기 힘든 장르입니다.입질 들어올 때마다 심장이 덜컥 내려앉고, 릴을 감을수록 팔에 전해지는 진동이“어떠한 장르보다 스릴,긴장감.전율이 전해지는 최고의기법., 이게 진짜 낚시지” 하는 생각이 절로 들었습니다.포인트 진입할 때마다 참돔과 붉바리가 연속으로 히트!중간 5짜 붉바리도 힘 있게 올라오고 분위기 한껏 고조,배를 통째로 끌고 갈 듯한 부시리 파워,그리고 묵직한 대물 농어의 저돌적인 돌진까지—정말 한순간도 긴장을 놓을 수 없는 하루였습니다.조사님들 아이스박스는 뚜껑이 닫히지 않을 정도로 가득 찼고그만큼 웃음도 풍성했습니다.첫 프리폴 출조치고는 더할 나위없이 멋진 조황 보여주셔서함께한 저도 큰 보람을 느꼈습니다.앞으로도 프리폴 타이라바만의 장점과 매력,그리고 남해 특유의 속도감 있는 시즌 흐름 그대로 담아꾸준히 보여드리겠습니다. “베이트가 떨어지는 순간, 운명이 갈린다.”프리폴의 시대가 시작되었습니다.다음 출조도 기대해주세요.좋은 조황으로 다시 찾아뵙겠습니다! ------------------박프로 였습니다 ❤️내일은 쉬고 수요일(5일) 출항합니다 예약은 홈페이지에서 ~~●자리는 먼저 예약하신데로 선택할수 있습니다기상이 좋으면 쭈욱 출항합니다. (홈페이지 참조)★ 궁금하신 점이 있으시면 정총무에게 전화주세요.☆문의 010 9149 8200●동영상조황.지난조황 밴드에서 보실수있습니다실시간☆예약은홈페이지에서 가능합니다.https://parkpro.sunsang24.com/ship/schedule_fleet/https://band.us/n/aba3A366LdG2m #붉바리외수질 #외수질 #민어외수질 #농어 #우럭 #왕볼락 #쏨뱅이 #쏨뱅이 #거금박프로호#고흥붉바리 #타이라바 #광어 #거금도 #참돔 #고흥배낚시 #고흥바다낚시 #고흥선상낚시 #루어 #고흥선상낚시 #프리폴 타이라바 #방어#부시리===== 고흥 거금박프로호 =====예약문의 : 010-9149-8200오시는길 : 전남 고흥군 금산면 대신로 276 홈페이지 : http://parkpro.sunsang24.com/계좌안내 : 수협 / 0109-1498-2000 / 박양훈
♧ 남해안 타이라바 메카 ♤최남단,최단거리 포인트 진입11월 3일 (월요일) 박프로입니다오늘은 10분 조사님들과 함께 프리폴 타이라바 첫 출조를 다녀왔습니다.프리폴 타이라바 특유의 떨어지는 한 타이밍에 ‘탁’ 하고 박히는 그 전율,누구나 한 번 빠지면 헤어나오기 힘든 장르입니다.입질 들어올 때마다 심장이 덜컥 내려앉고, 릴을 감을수록 팔에 전해지는 진동이“어떠한 잠르보다 스릴,긴장감.전율이 전해지는 최고의기법., 이게 진짜 낚시지” 하는 생각이 절로 들었습니다.포인트 진입할 때마다 참돔과 붉바리가 연속으로 히트!중간 5짜 붉바리도 힘 있게 올라오고 분위기 한껏 고조,배를 통째로 끌고 갈 듯한 부시리 파워,그리고 묵직한 대물 농어의 저돌적인 돌진까지—정말 한순간도 긴장을 놓을 수 없는 하루였습니다.조사님들 아이스박스는 뚜껑이 닫히지 않을 정도로 가득 찼고그만큼 웃음도 풍성했습니다.첫 프리폴 출조치고는 더할 나위없이 멋진 조황 보여주셔서함께한 저도 큰 보람을 느꼈습니다.앞으로도 프리폴 타이라바만의 장점과 매력,그리고 남해 특유의 속도감 있는 시즌 흐름 그대로 담아꾸준히 보여드리겠습니다. “베이트가 떨어지는 순간, 운명이 갈린다.”프리폴의 시대가 시작되었습니다.다음 출조도 기대해주세요.좋은 조황으로 다시 찾아뵙겠습니다! ------------------박프로 였습니다 ❤️내일은 쉬고 수요일(5일) 출항합니다 예약은 홈페이지에서 ~~●자리는 먼저 예약하신데로 선택할수 있습니다기상이 좋으면 쭈욱 출항합니다. (홈페이지 참조)★ 궁금하신 점이 있으시면 정총무에게 전화주세요.☆문의 010 9149 8200●동영상조황.지난조황 밴드에서 보실수있습니다실시간☆예약은홈페이지에서 가능합니다.https://parkpro.sunsang24.com/ship/schedule_fleet/https://band.us/n/aba3A366LdG2m한분꺼~~쿨러가득~ #붉바리외수질 #외수질 #민어외수질 #농어 #우럭 #왕볼락 #쏨뱅이 #쏨뱅이 #거금박프로호#고흥붉바리 #타이라바 #광어 #거금도 #참돔 #고흥배낚시 #고흥바다낚시 #고흥선상낚시 #루어 #고흥선상낚시 #프리폴 타이라바 #방어#부시리===== 고흥 거금박프로호 =====예약문의 : 010-9149-8200오시는길 : 전남 고흥군 금산면 대신로 276 홈페이지 : http://parkpro.sunsang24.com/계좌안내 : 수협 / 0109-1498-2000 / 박양훈
#프리폴타이라바~#타이라바시즌시작 ※이제부터는 *타이라바*11월5일부터~ 타이라바출조합니다~손맛.입맛을 책임질대상어종은#붉바리#참돔#농어넉넉한바다가 조사님들 기다립니다.시즌초반 소수인원도 출조하니개인레슨 ~받을수 있는기회*예약문의 010.9149.8200 ♤예약하기https://parkpro.sunsang24.com/ship/schedule_fleet/===== 고흥 거금박프로호 =====예약문의 : 010-9149-8200오시는길 : 전남 고흥군 금산면 대신로 276 홈페이지 : http://parkpro.sunsang24.com/계좌안내 : 수협 / 0109-1498-2000 / 박양훈
#프리폴타이라바~#타이라바시즌시작 11월3일. 타이라바출조랍니다~손맛.입맛을 책임질대상어종은#붉바리#참돔#농어넉넉한바다가 조사님들 기다립니다.시즌초반 소수인원도 출조하니개인레슨 ~받을수 있는기회*예약문의 010.9149.8200♤예약하기https://parkpro.sunsang24.com/ship/schedule_fleet/ ===== 고흥 거금박프로호 =====예약문의 : 010-9149-8200오시는길 : 전남 고흥군 금산면 대신로 276 홈페이지 : http://parkpro.sunsang24.com/계좌안내 : 수협 / 0109-1498-2000 / 박양훈
♧ 남해안 생미끼외수질 개척.전문선사 ♤최남단,최단거리 포인트진입10월31일 (금요일) 박프로입니다오늘 바다는 기대 이상이었습니다.아침 첫 포인트 진입과 동시에, 수면 아래서부터 붉은 불꽃이 터지는 듯한 입질이 시작됐습니다.포인트마다 로드가 연달아 휘어지고, 릴 드랙 소리가 바람 대신 배 위를 채웠습니다.30~40 후반 사이즈 중심으로 꾸준히, 여기에 5짜급 한 수가 분위기를 정점으로 끌어올렸습니다.초보 조사님들부터 경험자까지 모두가 손맛과 횟감을 든든히 챙기며 환한 얼굴로 하루를 마무리하셨습니다.그리고 오늘 이 아름다운 조황을 끝으로,2025 붉바리 외수질 시즌은 여기서 마무리합니다.함께 땀 흘리고 웃으며멋진 시즌을 만들어주신 조사님들께진심으로 감사드립니다하지만 바다는 늘 다음을 준비합니다.내일부터는 프리폴 타이라바 시즌 본격 돌입!수온이 서서히 내려가는 이 시기,사이즈급 붉바리들은 여전히타이라바에도 강하게 반응하고 있습니다.특히 프리폴 특유의‘떨어지는 순간 톡!’ 이어지는 폭발적인 드랙음이 손맛을 경험해보신 분들은 아십니다.이 시즌… 절대 놓칠 수 없는 이유입니다.참돔,붉바리의 힘은 그대로,방법은 더 스릴 있고 더 짜릿하게.테크닉과 집중력, 그리고 운까지 함께하는최고의 장르 프리폴 타이라바,저 박프로가 완벽히 준비해두겠습니다.다가오는 출조에도믿고 함께해주신 만큼기록에 남을 손맛으로 보답드리겠습니다."시즌은 바뀌어도 열정은 계속 흐른다 바다는 늘 준비된 자의 편이다. ----------박프로 였습니다 예약은 홈페이지에서 ~~●자리는 먼저 예약하신대로 선택할수 있습니다기상이 좋으면 쭈욱 출항합니다(홈페이지 참조)★ 궁금하신 점이 있으시면 정총무에게 전화주세요.☆문의 010 9149 8200●동영상조황.지난조황 밴드에서 보실수있습니다실시간☆예약은홈페이지에서 가능합니다.https://parkpro.sunsang24.com/ship/schedule_fleet/ ===== 고흥 거금박프로호 =====예약문의 : 010-9149-8200오시는길 : 전남 고흥군 금산면 대신로 276 홈페이지 : http://parkpro.sunsang24.com/계좌안내 : 수협 / 0109-1498-2000 / 박양훈
♧ 남해안 생미끼외수질 개척.전문선사♤최남단,최단거리 포인트진입#(11월부터 붉바리&참돔 타이라바 갑니다)10월 29일 (수요일) 조행기(붉바리5짜~황복5짜~~)조황박프로 입니다오늘은 어제와 비슷한 흐름 속에서도조류의 변화에 따라 붉바리 입질 타임이뚜렷하게 구분되는 날이었습니다.아침 날물 초반부터첫 포인트에서 강렬한 신호가 들어왔고,라인 끝에서는 묵직한 저항감이 손끝으로 전해졌습니다.포인트 이동마다붉바리의 반응이 끊이지 않았습니다.중간 타임에는 한때 조류가 죽는 구간도 있었지만그 사이에도 꾸준히 한 마리, 두 마리씩 올라와전체적인 조황의 흐름이 매우 안정적으로 이어졌습니다.오늘의 하이라이트는 단연 5짜 붉바리 3수!모두 탄탄한 체고와 힘으로완벽한 손맛을 선사했습니다.또한 4짜급 붉바리가 십여 수 이상 올라오며그야말로 “붉바리 퍼레이드”라 불릴 만큼 풍성한 하루였습니다.조사님들 모두 끝까지 집중력을 유지하며입질 타이밍을 놓치지 않았고,포인트마다 환호와 감탄이 터져 나왔습니다.오늘도 함께해주신 조사님들 고생 많으셨습니다.꾸준한 패턴 읽기와 정확한 수심 공략이가을 붉바리 시즌의 열쇠임을 다시 한번 느낀 하루였습니다.“큰 물고기를 잡는 비결은운이 아니라, 흐름을 읽는 눈이다.”※이번주 토요일 부터 기상이 허락하면프리폴타이라바로 출항합니다. 동영상동영상♡대물붉바리.대물민어.대물점농어. 돼지우럭,왕볼락 찾아 GO~GO.!!!~~남녀노소 누구나즐기는 붉바리낚시예약은 홈페이지에서 ~~●자리는 먼저 예약하신데로 선택할수 있습니다기상이 좋으면 쭈욱 출항합니다. (홈페이지 참조)★ 궁금하신 점이 있으시면 정총무에게 전화주세요.☆문의 010 9149 8200●동영상조황.지난조황 밴드에서 보실수있습니다실시간☆예약은홈페이지에서 가능합니다.https://parkpro.sunsang24.com/ship/schedule_fleet/===== 고흥 거금박프로호 =====예약문의 : 010-9149-8200오시는길 : 전남 고흥군 금산면 대신로 276 홈페이지 : http://parkpro.sunsang24.com/계좌안내 : 수협 / 0109-1498-2000 / 박양훈
남해안 생미끼외수질 개척.전문선사 ♤최남단,최단거리 포인트진입10월 28일 (화요일)박프로입니다 오늘도 새벽부터 열정 가득하게 출항했습니다.포인트마다 붉바리 활성도가 정말 좋았습니다.들물 타이밍부터 꾸준히 입질이 이어졌고,곳곳에서 5짜 붉바리들이 연이어 등장하며조사님들 환호가 바다 위를 가득 메웠습니다. 30cm 이상급 붉바리들이 대부분을 차지했고,힘 좋은 씨알들이 줄줄이 올라와릴링 손맛에 미소가 떠나질 않았습니다.특히 중후반 타임에는 대물 포인트에서한 번에 서네명이 동시에 히트하는 장면도!바람은 조금불었지만 궂은 날씨 없이 붉바리 퍼레이드가 펼쳐진 하루였습니다.끝까지 함께해주신 조사님들께 진심으로 감사드립니다.오늘도 붉바리 대물 행진 속에 즐거운 손맛, 충분히 느끼셨을 거라 믿습니다.안전 귀가하시고, 멋진 하루 되시길 바랍니다.박프로였습니다 늘 최고의 조황으로 보답드리겠습니다!❤️내일 수요일 자리 남았습니다♡대물붉바리.대물민어.대물점농어. 돼지우럭,왕볼락 찾아 GO~GO.!!!~~남녀노소 누구나즐기는 붉바리낚시예약은 홈페이지에서 ~~●자리는 먼저 예약하신데로 선택할수 있습니다기상이 좋으면 쭈욱 출항합니다. (홈페이지 참조)★ 궁금하신 점이 있으시면 정총무에게 전화주세요.☆문의 010 9149 8200●동영상조황.지난조황 밴드에서 보실수있습니다실시간☆예약은홈페이지에서 가능합니다.https://parkpro.sunsang24.com/ship/schedule_fleet/https://band.us/n/aba3A366LdG2m'거금박프로호' 밴드에 초대합니다.생미끼외수질. 타이라바 전용낚시선 밴드입니다.band.us#붉바리외수질 #외수질 #민어외수질 #농어 #우럭 #왕볼락 #쏨뱅이 #쏨뱅이 #거금박프로호#고흥붉바리 ===== 고흥 거금박프로호 =====예약문의 : 010-9149-8200오시는길 : 전남 고흥군 금산면 대신로 276 홈페이지 : http://parkpro.sunsang24.com/계좌안내 : 수협 / 0109-1498-2000 / 박양훈
♧ 남해안 생미끼외수질 개척.전문선사 ♤최남단,최단거리 포인트진입이번주가ㅇ붉바리 시즌. 마지막주입니다시즌 끝나기전붉바리 황금어장으로 오세요. 10월 26일 (일요일) 조황올립니다 기상: 강한 북서풍 / 간헐적구름 수온: 안정권 유지(21.8도)조류: 오전 들물 → 오후들물후약한 날물주어종:붉은전사 붉바리 (130 여수)기타어종:참돔,딱돔 ▶ 오전(들물진행)오늘은 새벽부터 강한 바람이 불며 쉽지 않은 여건속에출항했습니다. 포인트마다 바람과 물살이 뒤섞이며 입질이 고르지 않았지만,들물 초반 붉바리 활성 구간에서는 연속적인 히트가 이어졌습니다.사이즈는 5짜 포함하여 전반적으로 30~40cm 전후의 준수한 붉바리급이 다수를 차지했습니다.▶ 오후(들물후날물 진행)11시이후 바람이 다소 잦아들며 예민한 입질 속에서도 묵직한 한방들이 이어지며, 조사님들의 집중력과 노련한 대응이 빛났습니다.▶ 총평강한 바람 속에서도조사님들의 끈기와 팀워크로 의미 있는 조과를 거둔하루였습니다. 들물 내내 붉바리 입질이 집중되었고, 사이즈급 붉바리들이 계속적으로 반응하며 마무리를 장식했습니다. 오늘 역시 중조기 특유의 예민한 흐름 속에서 한치의 방심도 허락하지 않는 낚시의 묘미를 느낄 수 있었습니다.궂은 날씨에도 불구하고 조사님들의 열정이 대단하셨고 잠시도 쉬지않으시고 열정이 빛난 하루였습니다.고생들 하셨습니다.멀리 인천에서도 찾아주신 원장님들 모두진심으로 감사드립니다.“바다는 늘 같은 곳이지만, 읽는 법은 날마다 다르다.” ------------박프로 였습니다 ❤️이번주 화수목요일 자리 남았습니다♡대물붉바리.대물민어.대물점농어. 돼지우럭,왕볼락 찾아 GO~GO.!!!~~남녀노소 누구나즐기는 붉바리낚시예약은 홈페이지에서 ~~●자리는 먼저 예약하신데로 선택할수 있습니다기상이 좋으면 쭈욱 출항합니다. (홈페이지 참조)★ 궁금하신 점이 있으시면 정총무에게 전화주세요.☆문의 010 9149 8200 ●동영상조황.지난조황 밴드에서 보실수있습니다실시간☆예약은홈페이지에서 가능합니다.https://parkpro.sunsang24.com/ship/schedule_fleet/https://band.us/n/aba3A366LdG2m#붉바리외수질 #외수질 #민어외수질 #농어 #우럭 #왕볼락 #쏨뱅이 #쏨뱅이 #거금박프로호#고흥붉바리 ===== 고흥 거금박프로호 =====예약문의 : 010-9149-8200오시는길 : 전남 고흥군 금산면 대신로 276 홈페이지 : http://parkpro.sunsang24.com/계좌안내 : 수협 / 0109-1498-2000 / 박양훈
남해안 생미끼외수질 개척.전문선사 ● 금년붉바리외수질※시즌종료~~예약가능한날~3일남았습니다.(화.수.목 예약중) 10월 25일 (토요일) 박프로 입니다오늘은 맑고 청량한 가을 하늘 아래, 제법 강한바람이 방향을 바꿔가며 오전내 불었습니다.아침 들물로 전환되면서부터 붉바리 포인트마다 부분적인 입질이 관찰되었고,특정 포인트에서는 연속 히트가 이어지며 손맛이 집중적으로 터졌습니다.조사님들께 사이즈급 붉바리를 안겨드리기 위해 포인트 이동을 반복하며 온 힘을 다해 공략했습니다.그 결과, 30~40cm 전후의 준수한 붉바리들이 다수 확인되며 현장 분위기가 한층 뜨겁게 달아올랐습니다.오후로 접어들며 날물이 진행되자민어와 대물 점농어가 소수 출현했고,참돔 또한 드문드문 얼굴을 보여주며하루의 마무리를 풍성하게 장식했습니다.오늘도 변덕스러운 바다 상황 속에서집중력과 끈기로 멋진 조과를 만들어주신모든 조사님들께 깊은 감사의 말씀드립니다. “조류를 읽는자가 바다를 지배한다. -----------박프로 였습니다 ❤️다음주 화수목금 자리 남았습니다♡대물붉바리.대물민어.대물점농어. 돼지우럭,왕볼락 찾아 GO~GO.!!!~~남녀노소 누구나즐기는 붉바리낚시예약은 홈페이지에서 ~~●자리는 먼저 예약하신데로 선택할수 있습니다기상이 좋으면 쭈욱 출항합니다. (홈페이지 참조)★ 궁금하신 점이 있으시면 정총무에게 전화주세요.☆문의 010 9149 8200●동영상조황.지난조황 밴드에서 보실수있습니다실시간☆예약은홈페이지에서 가능합니다.https://parkpro.sunsang24.com/ship/schedule_fleet/https://band.us/n/aba3A366LdG2m'거금박프로호' 밴드에 초대합니다.생미끼외수질. 타이라바 전용낚시선 밴드입니다. band.us#붉바리외수질 #외수질 #민어외수질 #농어 #우럭 #왕볼락 #쏨뱅이 #쏨뱅이 #거금박프로호#고흥붉바리 ===== 고흥 거금박프로호 =====예약문의 : 010-9149-8200오시는길 : 전남 고흥군 금산면 대신로 276 홈페이지 : http://parkpro.sunsang24.com/계좌안내 : 수협 / 0109-1498-2000 / 박양훈
♧ 남해안 생미끼외수질 개척.전문선사 ♤최남단,최단거리 포인트진입10월 24일 (금요일) 박프로입니다.금년외수질은 10월31일까지 합니다.시즌 끝나기전에 붉바리잡으레 오세요다음주.화.수.목. 예약가능,자리약간 있습니다11월부터 타이라바 출조합니다(조행기)오늘은 아침부터 가을 햇살이 바다 위를 은빛으로 비추며,바다는 잔잔했지만, 수면 아래는 예사롭지 않았습니다.한동안 조용하던 찰나—들물이 서서히 진행되면서 그때.“툭!” 하고 전해지는 예민한 입질,순간적으로 휘어지는 낚싯대 끝에서강렬한 반전이 시작됐습니다.릴 드랙이 치익치익 풀리며버티는 녀석과 밀고 당기기를 반복한 끝에마침내 수면 위로 모습을 드러낸 건 괴물 붉바리 56cm!등빛이 번쩍이고, 입가에는 아직도 분노가 서려 있었습니다.그 존재감 하나로 오늘 하루 분위기가 완전히 바뀌었습니다.이어 동시 타이밍,바로 옆자리에서 대물 참돔 64cm가 터졌습니다.어신없이 단번에 처박는 낚시대!단단히 물고 끝까지 저항하던 그 힘,릴을 감는 손끝에서 전해지는 진동~모두가 바라보는데도 정말 압권이었습니다.한 마리의 참돔이 조사님 얼굴에 웃음꽃을 피우게 했습니다.전체적으로 붉바리가 씨알이 조금 아쉬운 넘,준수한사이즈붉바리잠시도 쉴틈없이 얼굴을 보여줍니다.오늘은 짧은 타이밍을 놓치지 않은 집중력이 오늘 조황의 핵심이었습니다.오늘 출조에 함께해주신 조사님들,끝까지 집중해주시고 멋진 손맛 함께해주셔서 진심으로 감사드립니다.다음 출조에서도 더 짜릿한 순간으로 찾아뵙겠습니다.♤정리 요약♧ °기상: 맑음, 바람 약함 °물때: 11물°수온: 21.6도( 평균) 고수온.° 주 어종: 붉바리 (25~56cm급 160여수)°기타 어종: 참돔(64cm 대물)외 소수 왕볼락.딱돔소수°전반 평가: 꾸준한 입질, 손맛과 긴장감 모두 살아있던 하루 "진짜낚시는 손끝이 아니라 마음으로 시작되는 순간부터 시작된다. -------------박프로였습니다.대물붉바리.대물민어.대물점농어. 돼지우럭,왕볼락 찾아 GO~GO.!!!~~남녀노소 누구나즐기는 붉바리낚시예약은 홈페이지에서 ~~●자리는 먼저 예약하신데로 선택할수 있습니다기상이 좋으면 쭈욱 출항합니다. (홈페이지 참조)★ 궁금하신 점이 있으시면 정총무에게 전화주세요.☆문의 010 9149 8200●동영상조황.지난조황 밴드에서 보실수있습니다실시간☆예약은홈페이지에서 가능합니다.https://parkpro.sunsang24.com/ship/schedule_fleet/https://band.us/n/aba3A366LdG2m===== 고흥 거금박프로호 =====예약문의 : 010-9149-8200오시는길 : 전남 고흥군 금산면 대신로 276 홈페이지 : http://parkpro.sunsang24.com/계좌안내 : 수협 / 0109-1498-2000 / 박양훈





























