조황관리HOME / 조황관리 / 상세정보

제목 : 11월23일 타이라바전문선사 조황
등록일 : 2025-11-24



♧ 남해안 타이라바 메카
                ♤최남단,최단거리 포인트진입
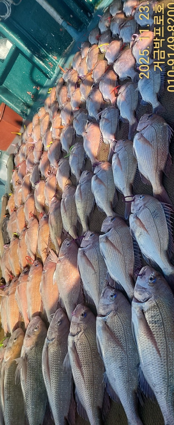
   11월  23  일 (일요일)
박프로입니다 
오늘은 어제 조황의 흐름을 참고하며, 
마릿수와 씨알이 자연스럽게 어우러지는 포인트 위주로 선정해서 움직였습니다.
첫 포인트부터 참돔 특유의 
예민한 톡–입질이 이어졌고,
중간중간에는 로드를 단단히 눌러주는 
힘 좋은 녀석들도 등장해
5짜·6짜·7짜 대물과 중급 씨알이 고르게 섞여
조사님들 손맛이 끊기지 않는 흐름을 만들어주었습니다.
하루 종일 가벼운 서프라이즈와 
묵직한 감동이 번갈아 올라와
배 위에선 환호, 웃음, 설렘이 자연스럽게 퍼졌고
조사님들의 집중력 덕분에 오늘 조황이 더욱 살아났습니다.
끝까지 함께해주신 조사님들
정말 수고 많으셨습니다.
내일도 오늘의 좋은 흐름을 이어
더 즐겁고 기억에 남을 조행 준비해보겠습니다.
 “좋은 조황의 비결은 운이 아니라, 
                        끝까지 포기하지 않는 발품이다.”
                        -----------박프로 였습니다 
❤️내일  월요일  한자리 있습니다 

예약은 홈페이지에서 ~~
●자리는 먼저 예약하신데로 선택할수 있습니다
기상이 좋으면 쭈욱 출항합니다
. (홈페이지 참조)
★ 궁금하신 점이 있으시면 정총무에게 전화주세요.
☆문의 010 9149 8200
●동영상조황.지난조황 밴드에서 보실수있습니다
실시간☆예약은
홈페이지에서 가능합니다.


'거금박프로호' 밴드에 초대합니다 
#붉바리외수질 #외수질 #민어외수질
#농어 #우럭 #​왕볼락 #쏨뱅이 #쏨뱅이
#거금박프로호#고흥붉바리 #참돔타이라바 #거금도 #고흥선상낚시 #고흥바다낚시 #남해안바다낚시 #루어 #거문도 #여서도 #참돔조황#백도#고흥거금박프로피싱
#녹동거금박프로피싱 #선상참돔낚시
#남해생활낚시 
BandPhoto_2025_11_24_06_59_59_3.jpg


BandPhoto_2025_11_24_06_59_59_1.jpg


BandPhoto_2025_11_24_06_59_59_5.jpg

BandPhoto_2025_11_24_06_59_59_20.jpg

1000023724.jpg



BandPhoto_2025_11_24_06_59_59_9.jpg


BandPhoto_2025_11_24_06_59_59_6.jpg


BandPhoto_2025_11_24_06_59_59_21.jpg


BandPhoto_2025_11_24_06_59_59_7.jpg


BandPhoto_2025_11_24_06_59_59_10.jpg


BandPhoto_2025_11_24_06_59_59_8.jpg


BandPhoto_2025_11_24_06_59_59_13.jpg


BandPhoto_2025_11_24_06_59_59_19.jpg


BandPhoto_2025_11_24_06_59_59_14.jpg


BandPhoto_2025_11_24_06_59_59_15.jpg


BandPhoto_2025_11_24_06_59_59_16.jpg


BandPhoto_2025_11_24_06_59_59_12.jpg


BandPhoto_2025_11_24_06_59_59_17.jpg


BandPhoto_2025_11_24_06_59_59_18.jpg

 
   

===== 고흥 거금박프로호 =====

예약문의 : 010-9149-8200
오시는길 : 전남 고흥군 금산면 대신로 276 
홈페이지 : http://parkpro.sunsang24.com/

계좌안내 : 수협 / 0109-1498-2000 / 박양훈
Top