조황관리HOME / 조황관리 / 상세정보

제목 : 2월4일 참돔타이라바 ~최대67.조황.5일출항
등록일 : 2026-02-04



♧ 타이라바 남해안메카
                ♤최남단,최단거리 포인트진입
   2월 4일 ( 토요일)
거금박프로입니다 .
 
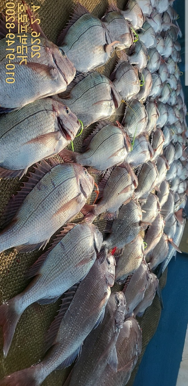
첫수~67사이즈로 힘차게 출발해서
열심히 하고 왔습니다.
 
모든 조사님들께서 끝까지 집중력을 잃지 않고, 서로 격려하며 
정말 재미나게 낚시를 즐겨주셨습니다.
힘든 여건 속에서도 웃음이 끊이지 않았던,
기억에 오래 남을 하루였습니다.
 
함께해 주신 조사님들 모두 고생 많으셨습니다. 감사합니다.
“좋은 조과는 날씨가 아니라, 
                         끝까지 버틴 사람에게 찾아온다.”
                  ----------------박프로   였습니다    
❤️ 내일 목요일  출항합니다 
                                                날씨 좋습니다.
     

예약은 홈페이지에서 ~~
●자리는 먼저 예약하신데로 선택할수 있습니다
기상이 좋으면 쭈욱 출항합니다
. (홈페이지 참조)
★ 궁금하신 점이 있으시면 정총무에게 전화주세요.
☆문의 010 9149 8200
●동영상조황.지난조황 밴드에서 보실수있습니다
실시간☆예약은
홈페이지에서 가능합니다.

[밴드 초대장]
박프로님이 당신을 '거금박프로호' 밴드에 초대합니다.
초대를 수락하고 우리 모임에 함께해요!

#붉바리외수질 #외수질 #민어외수질
#농어 #우럭 #​왕볼락 #쏨뱅이 #쏨뱅이
#거금박프로호#고흥붉바리 #참돔타이라바 #거금도 #고흥선상낚시 #고흥바다낚시 #남해안바다낚시 #루어 #거문도 #여서도 #참돔조황#백도#고흥거금박프로피싱
#녹동거금박프로피싱 #선상참돔낚시
#남해생활낚시 
   

===== 고흥 거금박프로호 =====

예약문의 : 010-9149-8200
오시는길 : 전남 고흥군 금산면 대신로 276 
홈페이지 : http://parkpro.sunsang24.com/

계좌안내 : 수협 / 0109-1498-2000 / 박양훈
Top