조황관리HOME / 조황관리 / 상세정보

제목 : 3월14일 참돔타이라바~즐거운조황(내일자리있어요)
등록일 : 2026-03-14



♧ 남해안 타이라바 메카
                ♤최남단,최단거리 포인트진입
   3월14 일 ( 토요일)
박프로입니다 
오늘은 조사님들 모시고 출항하여 
하루 낚시를 진행했습니다.
 
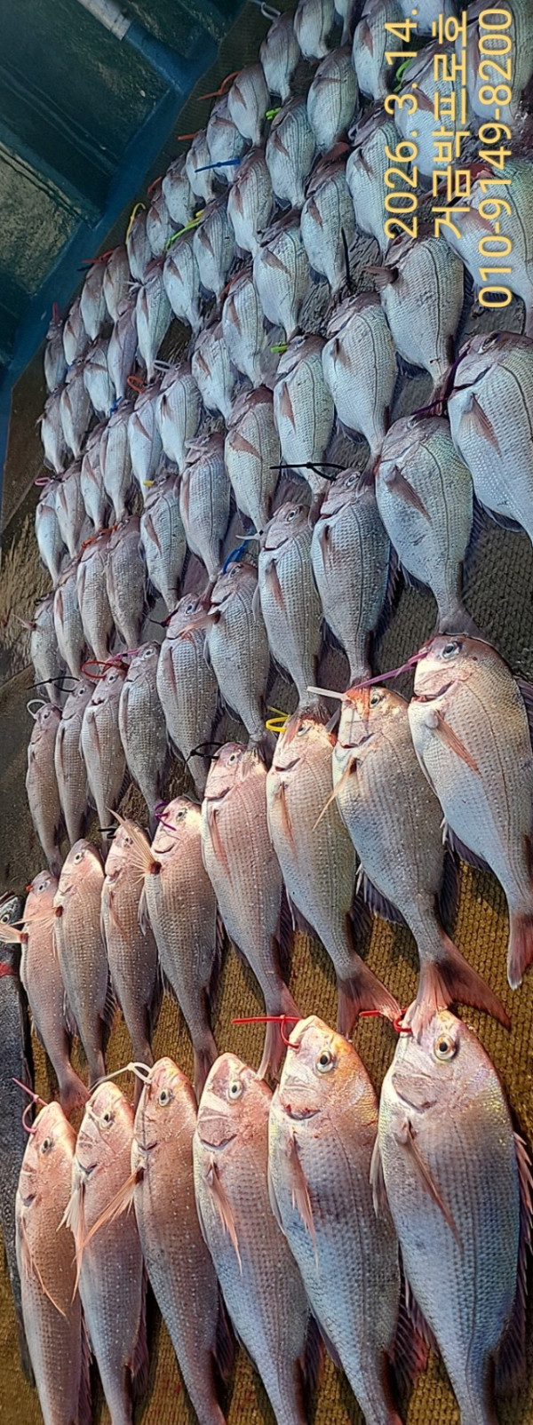
아침 출항 후 첫 포인트에 도착해 채비를 내리자마자 여기저기서 입질이 들어오며 분위기가 살아납니다.

최대63~마리수.
보너스로 대물민어~

초반에는 방생 사이즈 참돔들이 먼저 얼굴을 보여주며 예열을 해주었고, 시간이 흐르면서 씨알 좋은 참돔들이 하나둘 올라오기 시작합니다.
뜰채를 들고 바쁘게 움직일 만큼 꾸준한 입질이 이어졌습니다.
중간중간 물 흐름이 약해지는 시간도 있었지만 조사님들 모두 집중력을 잃지 않고 끝까지 열낚해 주신 덕분에 오늘도 좋은 손맛을 보실 수 있었습니다.
 
오늘 함께해 주신 조사님들 고생 많으셨고 먼바다에서 끝까지 즐겁게 낚시해 주셔서 감사드립니다.
 
“큰 고기는 바다에 있는 것이 아니라, 
    끝까지 기다리는 낚시꾼의 마음속에 있다.” 
                  ---‐----‐‐----‐박프로 였습니다 
❤️내일  일요일  자리 남았습니다 


예약은 홈페이지에서 ~~
●자리는 먼저 예약하신데로 선택할수 있습니다
기상이 좋으면 쭈욱 출항합니다
. (홈페이지 참조)
★ 궁금하신 점이 있으시면 정총무에게 전화주세요.
☆문의 010 9149 8200
●동영상조황.지난조황 밴드에서 보실수있습니다
실시간☆예약은
홈페이지에서 가능합
[밴드 초대장]
박프로님이 당신을 '거금박프로호' 밴드에 초대합니다.
초대를 수락하고 우리 모임에 함께해요!

#붉바리외수질 #외수질 #민어외수질
#농어 #우럭 #​왕볼락 #쏨뱅이 #쏨뱅이
#거금박프로호#고흥붉바리 #참돔타이라바 #거금도 #고흥선상낚시 #고흥바다낚시 #남해안바다낚시 #루어 #거문도 #여서도 #참돔조황#백도#고흥거금박프로피싱
#녹동거금박프로피싱 #선상참돔낚시
#남해생활낚시 
1000028916.jpg


1000028918.jpg


1000028919.jpg


1000028913.jpg


1000028915.jpg


1000028914.jpg
 
   

===== 고흥 거금박프로호 =====

예약문의 : 010-9149-8200
오시는길 : 전남 고흥군 금산면 대신로 276 
홈페이지 : http://parkpro.sunsang24.com/

계좌안내 : 수협 / 0109-1498-2000 / 박양훈
Top