조황관리HOME / 조황관리 / 상세정보

제목 : 3월15일 참돔 타이라바출조 조황입니다
등록일 : 2026-03-15



♧ 남해안 타이라바 메카
                ♤최남단,최단거리 포인트진입
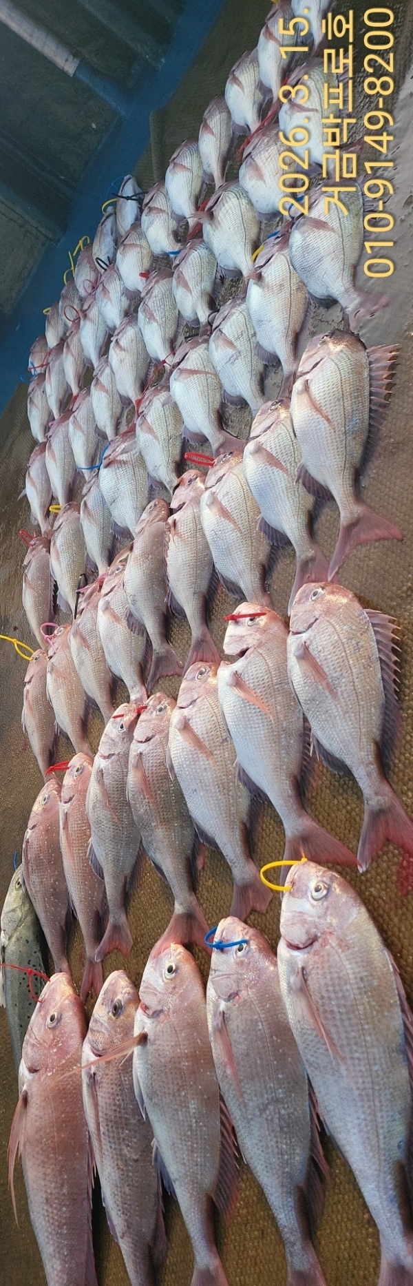
   3월 15 일 (  일요일)
안녕하세요 박프로입니다.
오늘은 열 분의 조사님들 모시고 
설레는 마음으로 바다로 나갔습니다.
아침 공기가 제법 차가웠지만 포인트에 
도착해 채비를 내리자 
바다는 금세 활기를 띠기 시작합니다.
오늘은 입질 타이밍이 일정하게 이어지기보다는 한번씩 몰아치는 형태로 들어왔습니다.
조용하다 싶다가도 어느 순간 로드가 휘어지며 참돔이 올라오고, 뜰채를 들고 뛰어다니는 상황이 연출되기도 했습니다.
씨알 또한 준수한 녀석들이 간간히 섞여 올라와 손맛을 제대로 느낄 수 있었고, 조사님들 모두 끝까지 집중하며 낚시에 임해 주셨습니다.
덕분에 웃음과 손맛이 함께한 하루가 되었습니다.
오늘 함께해 주신 열 분 조사님들 
고생 많으셨습니다.
안전하게 귀가하시고 다음 출조 때 다시 좋은 인연으로 뵙겠습니다.
“바다는 매일 다른 얼굴을 보여주지만
낚시꾼의 열정은 언제나 같은 방향을 향합니다.” 
                    ---------박프로 였습니다 


예약은 홈페이지에서 ~~
●자리는 먼저 예약하신데로 선택할수 있습니다
기상이 좋으면 쭈욱 출항합니다
. (홈페이지 참조)
★ 궁금하신 점이 있으시면 정총무에게 전화주세요.
☆문의 010 9149 8200
●동영상조황.지난조황 밴드에서 보실수있습니다
실시간☆예약은
홈페이지에서 가능합니다.

[밴드 초대장]
박프로님이 당신을 '거금박프로호' 밴드에 초대합니다.
초대를 수락하고 우리 모임에 함께해요!

#붉바리외수질 #외수질 #민어외수질
#농어 #우럭 #​왕볼락 #쏨뱅이 #쏨뱅이
#거금박프로호#고흥붉바리 #참돔타이라바 #거금도 #고흥선상낚시 #고흥바다낚시 #남해안바다낚시 #루어 #거문도 #여서도 #참돔조황#백도#고흥거금박프로피싱
#녹동거금박프로피싱 #선상참돔낚시
#남해생활낚시 
   

===== 고흥 거금박프로호 =====

예약문의 : 010-9149-8200
오시는길 : 전남 고흥군 금산면 대신로 276 
홈페이지 : http://parkpro.sunsang24.com/

계좌안내 : 수협 / 0109-1498-2000 / 박양훈
Top