조황관리HOME / 조황관리 / 상세정보

제목 : 3월21일 참돔 타이라바출조 조황입니다
등록일 : 2026-03-22



#남해권고흥
#참돔타이라바 #거금박프로호 
3월21일조황입니다
다음출조는 #26일부터 예약 가능합니다 
***************************************
♧ 남해안 타이라바 메카
                ♤최남단,최단거리 포인트진입
  3 월21일 ( 토요일)
박프로입니다 
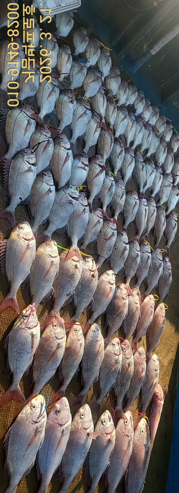
오늘은 조사님들 모시고 출항하였습니다.
바다 상황이 전체적으로 안정되고 바람과 파도도 잔잔해 낚시하기에 전반적인 조건이 아주 좋은 하루였습니다.
첫 포인트에 도착해 채비를 내리자마자 
여기저기서 입질이 들어오기 시작하고, 시간이 지날수록 참돔들이 꾸준하게 얼굴을 보여줍니다. 씨알 또한 나쁘지 않아 뜰채에 담기는 손맛과 함께 조사님들 모두 즐거운 낚시를 이어가셨습니다.
하루 종일 조류 흐름도 크게 나쁘지 않아 포인트 이동 없이도 꾸준한 입질을 받을 수 있었고, 바쁜 손놀림 속에 마릿수도 제법 채울 수 있었던 하루였습니다. 역시 조건이 좋은 날에는 바다도 쉽게 마음을 열어주는 것 같습니다.
오늘 함께해 주신 조사님들 끝까지 열낚해 주셔서 감사드리며 모두 고생 많으셨습니다. 
“좋은 조건은 기회를 주고, 
           끝까지 집중하는 사람이 손맛을 완성한다.”
                   --‐-------------♡박프로 였습니다 
❤️목요일(26일)부터 자리  남았습니다 
예약은 홈페이지에서 ~~
●자리는 먼저 예약하신데로 선택할수 있습니다
기상이 좋으면 쭈욱 출항합니다
. (홈페이지 참조)
★ 궁금하신 점이 있으시면 정총무에게 전화주세요.
☆문의 010 9149 8200
●동영상조황.지난조황 밴드에서 보실수있습니다
실시간☆예약은
홈페이지에서 가능합니다.

[밴드 초대장]
박프로님이 당신을 '거금박프로호' 밴드에 초대합니다.
초대를 수락하고 우리 모임에 함께해요!


1000029125.jpg


1000029126.jpg


1000029123.jpg


1000029124.jpg

 
   

===== 고흥 거금박프로호 =====

예약문의 : 010-9149-8200
오시는길 : 전남 고흥군 금산면 대신로 276 
홈페이지 : http://parkpro.sunsang24.com/

계좌안내 : 수협 / 0109-1498-2000 / 박양훈
Top